长吻银鲈:夜行灵光
All living things have spirits, Grow and multiply without end
分类信息
- 分类等级
- 界:动物界Animalia
- 门:脊索动物门Chordata
- 纲:辐鳍鱼纲Actinopterygii
- 目:鲈形目Perciformes
- 科:银鲈科Leiognathidae
- 属:长吻银鲈属Equulites
- 种:长吻银鲈Equuliteselongatus
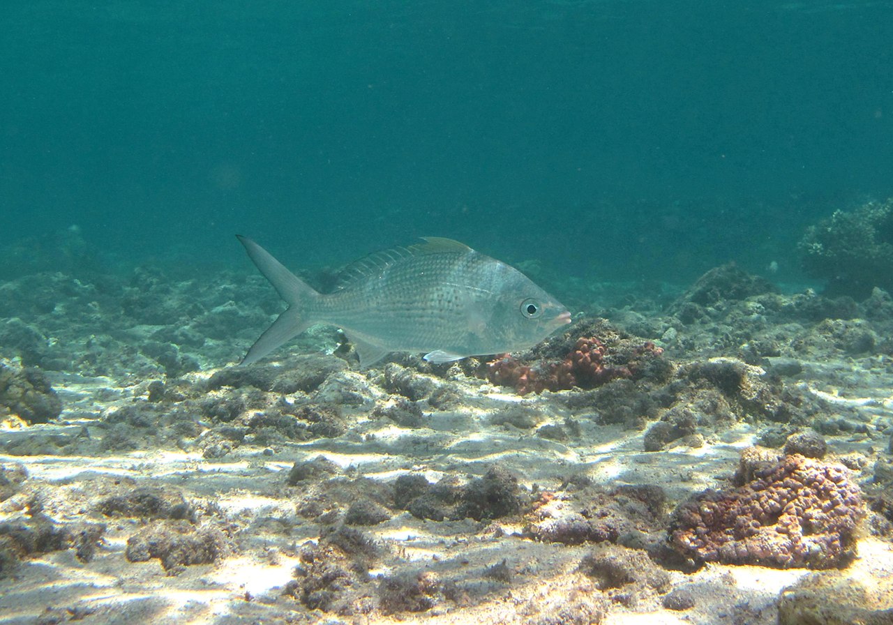
外观特征
- 体型
- 体延长,呈侧扁状
- 颜色
- 背部为淡蓝色至灰色,腹部银白色
- 鳞片
- 全身覆盖细小的圆鳞
- 头部
- 头尖而长,嘴部突出
- 眼睛
- 相对较大,适应于夜间活动
- 鳍
- 背鳍分为两部分
- 尾鳍叉形
栖息环境
- 水域类型
- 主要生活在热带及亚热带海域
- 深度范围
- 通常在近岸浅水区活动,有时也会进入河口
- 底质偏好
- 偏好沙泥底质的海底环境
行为习性
- 活动时间
- 夜行性,白天隐藏于海底或岩石缝隙中
- 繁殖行为
- 产卵季节一般在春季至夏季之间
- 社会结构
- 独居或形成小群体生活
饮食习惯
- 食物来源
- 以小型鱼类、甲壳类及其他海洋无脊椎动物为主食
- 捕食方式
- 利用其敏锐的视觉和快速游动能力捕捉猎物
生命周期
- 成长阶段
- 从孵化到成年大约需要1-2年的时间
- 寿命
- 野外条件下平均寿命约为5-7年
- 繁殖力
- 每次可产下数百至上千枚卵
长吻银鲈的趣知识
发光特性
- 某些种类的长吻银鲈具有生物发光能力,在黑暗中能够发出微弱光芒
伪装高手
- 它们能够通过改变体色来与周围环境融为一体,从而躲避天敌
跳跃能手
- 当感到威胁时,长吻银鲈会跳出水面,试图逃脱捕食者的追击
社交信号
- 通过摆动尾巴等方式与其他同类进行沟通交流
适应性强
- 不仅能在咸水中生存,也能短暂地适应淡水环境
经济价值
- 虽然体型不大,但肉质鲜美,在一些地区被作为食用鱼类养殖
“月光洒落海波间,长吻轻跃映星辉
夜深潜行觅食去,晨曦归来隐礁边”

